Atemnot

Fragen und Antworten zum Thema Degu-Gesundheit
Forumsregeln
Wichtig: Das Forum ersetzt niemals einen Tierarztbesuch! Bedenkt, dass die meisten hier Laien sind, Antworten dauern können und zudem eine Ferndiagnose kaum möglich ist.
Werft bitte vor einem Beitrag einen Blick in unseren Thread mit wichtigen Hinweisen und weiterführenden Links und nutzt ggf. auch die Suche-Funktion. Die Beiträge der Forenteilnehmer entsprechen nicht zwingend der Meinung des Moderatorenteams bzw. der Betreiber.
Benutzeravatar
Firelady
Beiträge: 2062
Registriert: 7. Jan 2018, 21:22
Postleitzahl: 44867
Land: Deutschland

Re: Atemnot

Hallo Farah,
Farah574 hat geschrieben: 16. Dez 2020, 12:58 keine Auffälligkeiten im Kopfbereich oder woanders im Körper feststellen (bis auf die Arthrose). Ich muss ihr da zustimmen: eine Entzündung oä. würde man doch sehen
grundsätzliche stimme ich Dir zu, aber eine Zahnwurzel, die in die Nasennebenhöhle wächst, könnte man ggf übersehen ohne ein entsprechendes Röntgenbild, das den Kopf und die Schädelhöhlen zeigt. Eine solche Zahnwurzelentzündung, vor allem wenn sie schon länger besteht, kann sich abkapseln und würde dann nicht mehr unbedingt Entzündungssymptome verursachen. Das könntest Du auf diesem Bild nicht mit Sicherheit ausschließen!

Ich verstehe nicht, warum nicht zur sicheren Diagnostik nicht auch ein Bild des Schädels angefertigt hat.
Liebe Grüße,
Julia


Life is too short not to be smiling!
Benutzeravatar
DaLo
Beiträge: 14252
Registriert: 23. Aug 2007, 19:01
Postleitzahl: 90587
Land: Deutschland
Wohnort: Obermichelbach

Re: Atemnot

Farah574 hat geschrieben: 16. Dez 2020, 12:58 ich werde gleich Sab Simplex kaufen und hoffen, dass ich es verabreicht bekomme. Für Tipps für die Verabreichung bin ich sehr dankbar!
Hallo,

das ist prima, wenn Du es besorgst. *sonne*
Am besten die flüssige Form. Davon dann ca. 0,25 ml 2x täglich. Es darf auch mehr sein, falls notwendig. Überdosieren kann man das ja im Grunde nicht.

Liebe Grüße
Dagmar
Benutzeravatar
Mandarine
Beiträge: 8030
Registriert: 2. Nov 2011, 18:44
Postleitzahl: 85356
Land: Deutschland
Wohnort: Freising

Re: Atemnot

Hallo,

Atemprobleme führen leider oft zu „Luft im Bauch“. Falls er verschleimt ist, könnte man inhalieren und außerdem noch Schleimlöser geben.

Ich empfehle ihn regelmäßig zu wiegen. Bei so einer Problematik würde ich sogar täglich wiegen. Falls du ihn zum inhalieren in eine Box setzt, könntest du die Box einmal leer und einmal mit Degu wiegen und die Differenz ermitteln. Das wäre also kein zusätzlicher Stress mehr.

Falls sich keine Besserung einstellt würde ich eine zweite Meinung einholen. Das Röntgenbild zeigt leider nicht den Zustand der Zahnwurzeln. Deshalb stellt sich mir die Frage wie viel Erfahrung die TÄ tatsächlich mit Nagern hat.
Meine Beiträge sind Forenbeiträge. Sie bleiben im Forum und dürfen nur nach Rücksprache und ausdrücklicher Genehmigung an anderer Stelle als Kopie oder Screenshot veröffentlicht werden.

Viele Grüße
Mandarine

Infos Deguhaltung
Farah574
Beiträge: 6
Registriert: 11. Dez 2020, 13:22
Postleitzahl: 44797
Land: Deutschland

Re: Atemnot

Liebe Degu-Freunde,
ein großes Dankeschön für eure hilfreichen Kommentare. Wir haben nun erstmal abgewartet, Santiago frisst weiterhin, genießt seine Rotlicht-Sonne und den Auslauf und die Kuscheleien mit seinen Degu-Damen und macht keinen lebensmüden Eindruck. Dank Sab Simplex war die Luft im Bauch schnell kein Problem mehr (das waren wohl Nebenwirkungen der Medikamente).
Leider sind seine Beschwerden (Luftnot, tränendes Auge) aber nicht besser geworden und ich bin heute zu einer anderen Tierärztin gefahren, die Erfahrung mit Degus hat. Sie sagte, dass seine Lunge und Herz ok seien und die Atemprobleme nur aus der verstopften Nase resultierten. Ihrer Meinung nach hat er sich entweder einen Pilz eingefangen, einen Fremdkörper in der Nase oder aber den berüchtigten „Elefantenzahn“. Nun habe ich einen Termin zum Röntgen des Kopfes unter Vollnarkose und anschließender Behandlung, sofern nötig.
Nun hadere ich mit der Entscheidung: die Tierärztin wies darauf hin, dass er die Narkose evtl. nicht überlebt, gerade weil er Atemprobleme hat. Ich weiß auch, dass er schon älter sein muss, weil auf dem ersten Röntgenbild seine Arthrose deutlich zu sehen war. Das bedeutet also im schlimmsten Fall, ich reiße ihn hier aus seinem Leben (in dem er sich trotz seiner Probleme ja wohl fühlt) und bringe ihn zum Sterben. Die Ärztin meinte, wenn es ihr Tier wäre, würde sie ihn operieren.
Was meint ihr Degu-Erfahrenen denn? Lässt man diesen Degu, ca4-6 Jahre alt (206g leicht, vorher 320g), mit Atemproblemen, operieren oder versucht man, ihm jetzt noch ein paar schöne Wochen ohne Operation zu machen?
Noch einmal Dankeschön, ich bin so verwirrt und tue mich schwer, diese Entscheidung alleine zu treffen.
Eure Farah
Benutzeravatar
Mandarine
Beiträge: 8030
Registriert: 2. Nov 2011, 18:44
Postleitzahl: 85356
Land: Deutschland
Wohnort: Freising

Re: Atemnot

Hallo,

Ich kann deine Bedenken nachvollziehen. Wäre es mein Degu würde ich die OP riskieren. Entweder er schafft es und es geht ihm danach besser oder du hast ihm zukünftiges Leid erspart.

Ich hatte vor einigen Jahren ebenfalls einen Degu mit recht ähnlichen Symptomen. Erst wurde davon ausgegangen, dass es sich um einen Atemwegsinfekt handelt, klassische Behandlung mit AB, Schleimlöser, k<eine Besserung, Nächstes AB, wieder keine Besserung. Der Zustand wurde trotz Behandlung mit verschiedenster Medikamente immer schlechter. Beim 3. TA wurde dann endlich der Kopf geröntgt. Es stellte sich heraus, dass eine knöcherne Zubildung in der Nase die Atmung bereits sehr stark beeinträchtigt. Der Verdauungstrakt war bereits leer weil sie sich zwischen atmen und fressen entscheiden musste. Eine OP war nicht möglich. Wir liesen sie aus der Narkose nicht mehr erwachen.

Im Nachhinein hätte ich sie wohl schon früher erlösen lassen.
Meine Beiträge sind Forenbeiträge. Sie bleiben im Forum und dürfen nur nach Rücksprache und ausdrücklicher Genehmigung an anderer Stelle als Kopie oder Screenshot veröffentlicht werden.

Viele Grüße
Mandarine

Infos Deguhaltung
Benutzeravatar
Game
Schatzmeisterin
Beiträge: 18826
Registriert: 2. Nov 2013, 17:44
Postleitzahl: 83734
Land: Deutschland
Wohnort: Hausham

Re: Atemnot

Auch ich würde es riskieren, man weiß einfach nicht, ob er jetzt schon schlimme Schmerzen hat oder nicht. Man kann nicht wissen, ob er jetzt tatsächlich noch ein schönes Leben hat, Degus sind Weltmeister im Verstecken von Schmerzen.
Meine Beiträge sind Forenbeiträge. Sie bleiben im Forum und dürfen nur nach Rücksprache und ausdrücklicher Genehmigung an anderer Stelle als Kopie oder Screenshot veröffentlicht werden.
Liebe Grüße
Gabi
Benutzeravatar
DaLo
Beiträge: 14252
Registriert: 23. Aug 2007, 19:01
Postleitzahl: 90587
Land: Deutschland
Wohnort: Obermichelbach

Re: Atemnot

Ich bin bei meinen beiden Vorschreiberinnen.
Einen Degu mit Atemproblemen in Narkose zu legen, ist natürlich kein Vergnügen für einen Tierarzt. Wenn Du jetzt aber einen degukompetenten Tierarzt hast, denke ich, das Risiko sollte eingegangen werden. Ich persönlich stelle mir ein Leben mit Atemproblemen nicht besonders erquicklich vor.
LG Dagmar
Farah574
Beiträge: 6
Registriert: 11. Dez 2020, 13:22
Postleitzahl: 44797
Land: Deutschland

Re: Atemnot

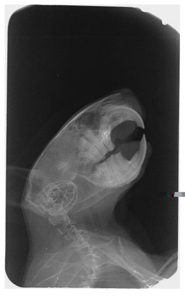
Hallo, Santiago wurde inzwischen unter einer Gasnarkose geröntgt- und hat es überlebt. *nicken* Die Tierärztin meinte, dass er ein Odontom (wuchernde Zahnwurzel?) hat, aber dies noch nicht so schlimm sei, dass man die OP riskieren würde. (Da müsste man von außen an den Kiefer ran)
Das Ganze hat fast 300 Euro gekostet. Santiago liegt nach wie vor den ganzen Tag in seiner Sonne, bekommt zur Unterstützung Möhrenbrei und atmet deutlich über den Mund.
Ich hänge mal die Röntgenbilder an- leider erkenne ich dort garnichts. Kann einer von euch etwas dazu sagen, wie schlimm es ist?
Dankeschön! Farah
Dateianhänge
3272C9C6-C060-4FCD-AA24-A25F13AB765A.jpeg
3272C9C6-C060-4FCD-AA24-A25F13AB765A.jpeg (85.08 KiB) 2172 mal betrachtet
82BA218B-5901-462A-94A2-C942F4978031.jpeg
82BA218B-5901-462A-94A2-C942F4978031.jpeg (93.43 KiB) 2172 mal betrachtet
868C4BBF-A853-4301-AD97-6AB0E1983870.jpeg
868C4BBF-A853-4301-AD97-6AB0E1983870.jpeg (53.59 KiB) 2172 mal betrachtet
04691F3E-6BE5-44AA-8A6E-F119CA7C4621.jpeg
04691F3E-6BE5-44AA-8A6E-F119CA7C4621.jpeg (102.28 KiB) 2172 mal betrachtet
EC8E2E6D-26FD-4BE9-8FD7-CA8D0F4F2E56.jpeg
EC8E2E6D-26FD-4BE9-8FD7-CA8D0F4F2E56.jpeg (91.04 KiB) 2172 mal betrachtet
Antworten